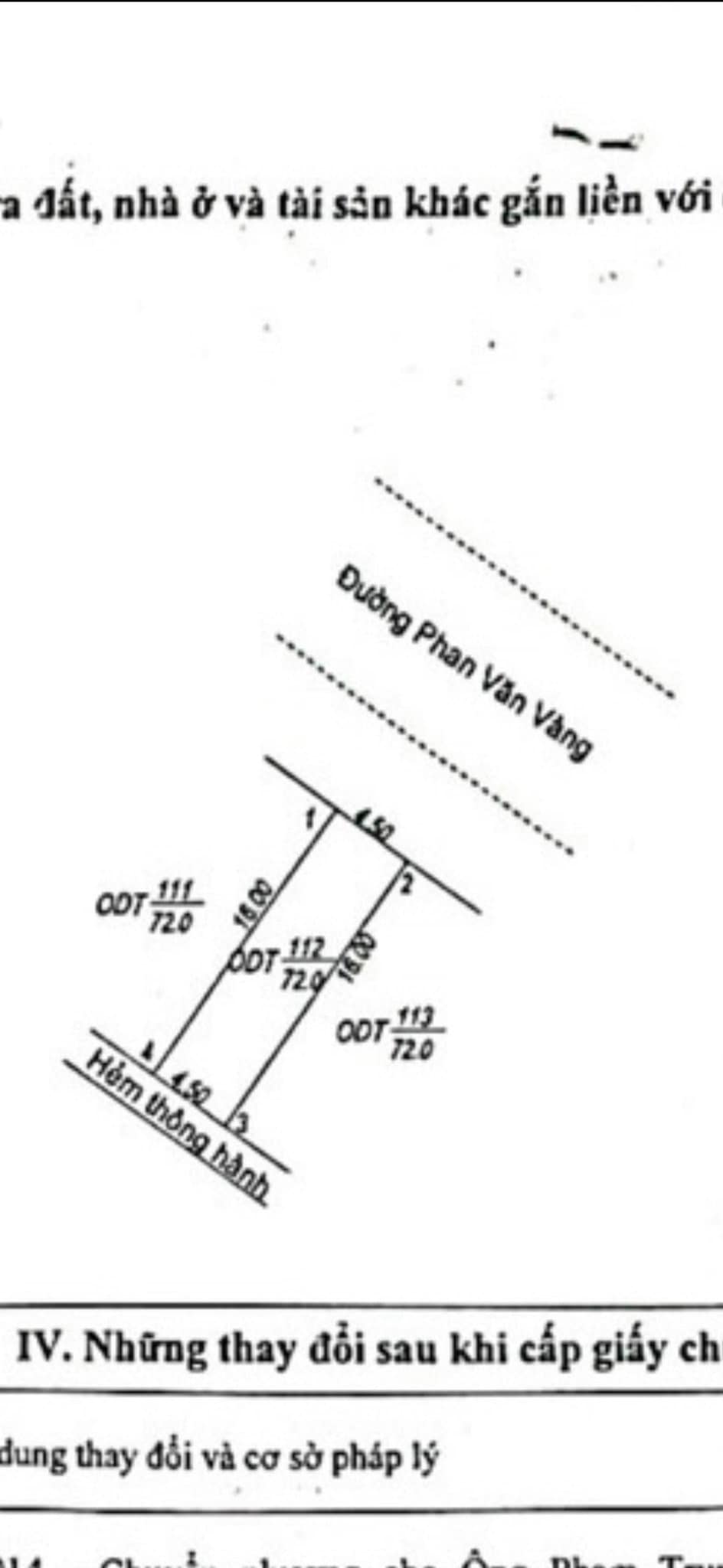
Cần bán 2 nền liền 9×16 toạ lạc tại Đ. Phan Văn Vàng – KDC TRƯNG VƯƠNG thuộc trung tâm thành phố Châu Đốc, tỉnh An Giang. Nơi tập trung nhiều quán cà phê & ăn uống, gần Bách Hoá Xanh, Siêu thị CoopMart tiện ích bao quanh.
– Ngang 9m x dài 16m = 144m2 (có hẻm thông hành phía sau). Mỗi nền ngang 4,5m x 16m sổ riêng từng nền.
==============================
– Giá 6 tỷ 700 triệu còn thương lượng trực tiếp chính chủ không qua trung gian.
==============================
– Liên hệ 0942.304.944 hoặc 0989.991.394 gặp em Thọ ạ! Cụ thể như sau:
* Đất ở đô thị 100%
* Lợi thế nền đôi bằng phẳng
* Khu vực tập trung quán cà phê, ăn uống, làm đẹp, siêu thị, bách hoá xanh
* Gần trường tiểu học Trưng Vương
* Gần trung tâm hành chính thành phố
* Khu dân cư đông đúc văn minh trí thức
* Ô tô tới đất
* Gần quán cà phê Gia Anh
* Thích hợp để ở, cho thuê, kinh doanh buôn bán.
* Hướng Đông Bắc
* Toạ lạc tại phường Châu Phú B, thành phố Châu Đốc, tỉnh An Giang
* Giấy tờ hợp lệ pháp lý rõ ràng.
* Giá chính chủ không nâng giá khống được thương lượng trực tiếp với chủ ( Giá có thể tăng giảm theo từng thời điểm).
* Được hỗ trợ thủ tục công chứng sang tên.
* Người mua không tốn phí giới thiệu cho bên mình chỉ cần nói mình giới thiệu qua là được.
Thuận mua vừa bán bà con có nhã ý thì đừng ngại liên hệ em để ngã giá và được tư vấn miễn phí 0942304944 hoặc 0989991394 gặp em Thọ ạ!
UY TÍN – ĐẢM BẢO – CHUYÊN NGHIỆP
” Kênh Youtube “ https://www.youtube.com/channel/UCQ7xzboMfJmvO33qoA2h0OA
“Link trang bán hàng” https://ww.facebook.com/batdongsancd/
“Website” https://batdongsanchaudoc.vn




